Tolles Baugrundstück mit schönem Blick über die Felder! Nachbarparzelle (425qm) ebenso verfügbar...
Grundstück zum Kauf in Königswinter

offen

Beschreibung

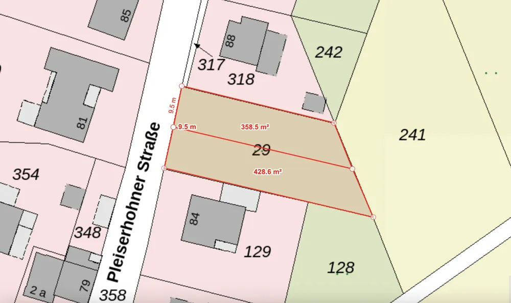
Wir bieten Ihnen ein tolles Baugrundstück ganz in der Nähe von Oberpleis an. Sie genießen hier von Ihrer künftigen Süd-West-Terrasse einen tollen Blick die angrenzenden Felder. Bei der Nachbarbebauung handelt es sich ausschließlich um klassische Einfamilienhäuser. Das große bzw. (Gesamt-) Grundstück misst 785qm. Wir bieten Ihnen die kleinere der beiden Grundstückshälften mit. ca. 360qm an.

Die Breite beträgt ca. 9,5m und die mittlere Tiefe ca. 38m. Das Grundstück kann mit einer Doppelhaushälfte bebaut werden. Es handelt sich dann um eine Grenzbebauung. Der (künftige) Nachbar bebaut dann das etwas größere Grundstück - ca. 425qm | € 140.000,- - ebenso mit einer Doppelhaushälfte. Ideal für befreundete Familien bzw. Generationenwohnen.

Weitere Informationen erhalten Sie über unser Büro.

Ausstattung

Gerne lassen wir Ihnen auf Wunsch weitere Unterlagen (Luftbilder, Flurkarte etc.) zukommen.

Lage

Das Grundstück befindet sich in ruhiger Lage im beliebten Königswinterer Ortsteil Pleiserhohn und somit nah zum Siebengebirge gelegen. Der älteste Naturpark Deutschlands bietet viele Freizeitmöglichkeiten im Sommer wie im Winter. Ideal für alle Läufer, Familien und diejenigen die gerne die Seele baumeln lassen. Einkaufsmöglichkeiten finden Sie in nahe gelegenen Oberpleis. Gleiches gilt für Kindergärten, eine Grund- und weiterführende Schulen.

Sonstiges

Ein wichtiger Hinweis zum sensiblen Thema "EU-DSGVO":

Wenn Sie uns Ihre Daten über ein Immobilienportal (z.B. immobilienscout24.de) übermitteln, so werden Ihre Daten lediglich für vier Wochen aufbewahrt, um den Exposéversand sowie eine mögliche Terminvereinbarung für eine Objektbesichtigung möglich zu machen. Nach Ablauf der vier Wochen werden Ihre Daten unwiderruflich gelöscht! Wir werden Ihnen weder neue Angebote noch einen nicht erwünschten Newsletter zukommen lassen.

Selbstverständlich können Sie Ihr Immobiliengesuch in unserer Datenbank unverbindlich und kostenfrei dauerhaft hinterlegen. Somit würden Sie in Zukunft durch uns ganz automatisch über neue Objekte informiert werden. Besuchen Sie hierzu bitte unsere eigene Homepage. Dort finden Sie im ´Footer´ den Link "Suchauftrag" bzw. Sie nutzen einfach folgenden Link: https://www.wind-immobilien.de/immobilien/suchauftrag. Vielen Dank!

Ansprechpartner

Sebastian

Sebastian Wind

  004922449000800
  0171 - 2773999

Kontakt aufnehmen

Grundstück zum Kauf

Kaufpreis 120.000 €
Adresse 53639 Königswinter
Grundstücksfläche 360 m²
Objekt-Nr. PS86_26_K

Käuferprovision zzgl. MwSt

3,57% (inkl. 19% MwSt.). Zu zahlen vom Käufer.

Ausstattung

Bebaubar nach Nachbarschaft (§34 BauBG)
Erschließung voll erschlossen
verfügbar ab nach Absprache
Vermarktungsstatus offen

Erfolg! Vielen Dank für Ihre Bewertung.

Fehler! Bitte füllen Sie alle Felder aus.